春季葡萄問題不少,花、芽、病蟲管理到位才好
當下葡萄正處于萌芽期,同時也是花芽繼續分化和新梢開始旺盛生長的時候,但問題卻不少,加上遇低溫陰雨,果農如何做好春季管理?
01
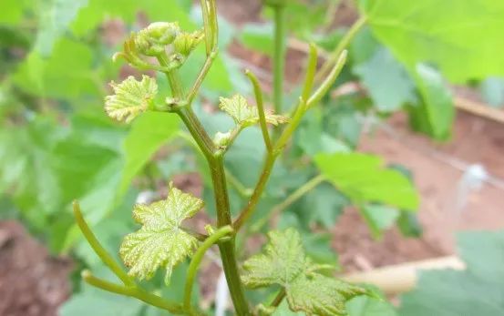
萌芽不整齊、低溫凍害
葡萄萌芽不整齊影響后期抹芽、摘心等操作,意味著花期不一致,坐果也不整齊,管理起來費時費工;更甚者成熟時間不一致,上市時間無法同步,降低葡萄的經濟效益。
萌芽不整齊
最大的原因在于營養!樹體中貯存的鈣鎂鋅硼鐵等營養元素對新生組織生長有很大影響,體現在哪些方面?
01
前一年葡萄落葉早,營養積累不充分,萌芽受阻;
02
春季遇低溫,萌芽全靠前一年的樹體積累,這時新根又未長出,營養嚴重不足;不僅是萌芽不整齊,還導致在低溫情況下新葉、花穗抗寒性差,遭受凍傷,水分營養運輸不暢,影響后期開花坐果。


新葉凍害
中微量元素的缺乏不僅對萌芽有影響,對苗勢、花芽、新葉以及當年產量的作用同樣不容小覷。
02
葡萄提苗慢
樹體營養虧空,土壤嚴重酸化板結;地溫低、氮多鈣少,讓根系吸收作用差;上一年激素使用過多等都是造成提苗慢的原因。
苗長不起來,苗勢差導致生長點過早停止生長,出現自動封尖的現象,影響花芽分化和坐果。
苗不長
03
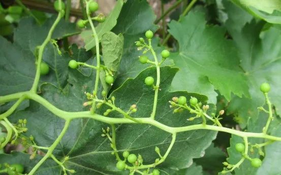
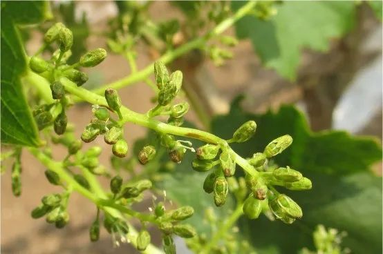
新葉黃、花穗弱
營養供應不足尤其是鋅硼,還會表現在新葉缺素黃化,花弱花少方面。
缺鋅:小葉黃葉,花穗不齊,果穗松散、果粒小且出現大小粒現象。
新葉小、節間短、自動封尖
果實大小粒
缺硼:新梢頂端卷須干枯,花序小、花蕾少,畸形花、落花多,果穗小,落果多。
新葉失綠
花帽難脫
落果
另外,氮多易引起枝條旺長而不利于花芽分化,磷、鉀元素也可顯著促進花芽分化,因此,元素合理均衡補充是關鍵。
現在補救還不晚,既要促發當年新根生長,盡快吸收水肥;又要迅速補充樹體營養,精準有效補充磷鉀鈣鎂鋅硼。
建議在葡萄萌芽期土溫高于15℃時滴灌一次微補調力3kg/畝,改善土壤根際環境;再淋一次沖施微補根力鈣3公斤/畝+微補沖力鎂1公斤/畝+微補精力1公斤/畝兩次,間隔7-10天,混用吲哚丁酸更好;平衡營養,促根保葉,促苗促花芽,萌芽整齊健壯。
葡萄萌芽后~開花前,葉噴2次微補花力1000倍+微補硼力1500倍+微補OM45有機精華500倍,有利于健壯花穗,促進葡萄脫花帽,謝花八成后連續噴微補果力+微補硼力+微補OM45有機精華,利于提高坐果率,減少落果、無籽果和大小粒現象。
04
病蟲害防治
春季還要注意病蟲害防治,將越冬后的病菌數量將至最低水平。在萌芽前至絨球期、二至三葉期、花序分離期等關鍵階段結合天氣狀況合理噴施藥劑。
微補生防三劍客提高作物免疫力,安全抗病,對多種病蟲害都能防控
春季是灰霉病孢子繁殖侵染時期,微補生防三劍客混用金棠百朵,預防+治療雙管齊下,能有效降低灰霉病的發生。
灰霉病
